Skip to content
January 18, 2026

New Heights

Next level access to life in the NFL

  • Home
  • NFL
  • PARENTS
  • Sport News
  • WNBA
  • KANSAS CITY
  • Trending
Main Menu

Tag: General

General

Massive Fire Rips Through Newly Opened Shopping Mall, Killing at Least 61

July 18, 2025July 18, 2025 - by Teonce Joseph - Leave a Comment

Fire in shopping mall in Kut, Iraq. | Source: YouTube/BBCNews A newly opened mall became a death trap in eastern Iraq, as a late-night fire killed at least 61 and …

Massive Fire Rips Through Newly Opened Shopping Mall, Killing at Least 61 Read More
General

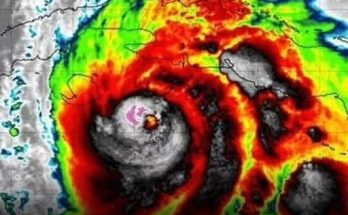
Large HURRICANE CATEGORY forming…

July 18, 2025July 18, 2025 - by Teonce Joseph - Leave a Comment

BREAKING NEWS: The National Hurricane Center (NHC) has begun posting advisories on Potential Tropical Cyclone Nine, which will likely become Tropical Storm Helene later today or tonight.Big Picture: Tropical Storm …

Large HURRICANE CATEGORY forming… Read More
General

Shane Gillis Made A Wild “Diddy Party” Joke At The End Of The ESPY Awards, Then Ruthlessly Pointed To Druski As The Broadcast Cut Out

July 18, 2025July 18, 2025 - by Teonce Joseph - Leave a Comment

Druski and Shane Gillis (Photo via ESPN) Shane Gillis ruffled plenty of feathers at the 2025 ESPYs on Wednesday night. The comedian had the lion’s share of the spotlight and …

Shane Gillis Made A Wild “Diddy Party” Joke At The End Of The ESPY Awards, Then Ruthlessly Pointed To Druski As The Broadcast Cut Out Read More
General

Her Words Were ‘Family Is Blood’—Then She Destroyed My Daughter’s Dress

July 18, 2025July 18, 2025 - by Teonce Joseph - Leave a Comment

The morning of my daughter Sophie’s school pageant was supposed to be joyful. Instead, I found her in tears, holding her handmade dress—ripped, burned, and stained. My heart sank. This …

Her Words Were ‘Family Is Blood’—Then She Destroyed My Daughter’s Dress Read More
General

Shocking New Video Captures Coldplay’s Chris Martin’s Live Reaction After He Accidentally Exposed Astronomer CEO & Head Of HR On Jumbotron For Having An Affair At His Concert

July 18, 2025July 18, 2025 - by Teonce Joseph - Leave a Comment

Chris Martin (Photo via X) Chris Martin inadvertently outed a cheating pair at Coldplay’s concert in Boston on Wednesday night, and they might not be all that happy with him …

Shocking New Video Captures Coldplay’s Chris Martin’s Live Reaction After He Accidentally Exposed Astronomer CEO & Head Of HR On Jumbotron For Having An Affair At His Concert Read More
General

Coldplay’s First Social Media Post After Accidentally Exposing Cheating Couple Goes Viral

July 18, 2025July 18, 2025 - by Teonce Joseph - Leave a Comment

Jonny Buckland, Will Champion, Chris Martin and Guy Berryman of Coldplay perform (Photo by Robert Okine/Getty Images) Coldplay’s first tweet after what will go down as one of their most …

Coldplay’s First Social Media Post After Accidentally Exposing Cheating Couple Goes Viral Read More
General

My MIL Took Back the Bicycle She Gifted My Daughter for Her Birthday – For a Ridiculous Reason

July 18, 2025July 18, 2025 - by Teonce Joseph - Leave a Comment

My mother-in-law took back the bicycle she gifted my daughter for her birthday. Yup, you read that right. A grown woman stealing from her own granddaughter. But what pushed me …

My MIL Took Back the Bicycle She Gifted My Daughter for Her Birthday – For a Ridiculous Reason Read More
General

Rosie O’Donnell hits back on Trump after threat of revoking her citizenship

July 17, 2025July 17, 2025 - by Teonce Joseph - Leave a Comment

Claiming Rosie O’Donnell posses a “threat to humanity,” President Donald Trump posted on the social media that he considers revoking her citizenship. “Because of the fact that Rosie O’Donnell is …

Rosie O’Donnell hits back on Trump after threat of revoking her citizenship Read More
General

3 Wedding Moments No One Saw Coming – Stories That Will Stay With You

July 17, 2025July 17, 2025 - by Teonce Joseph - Leave a Comment

Weddings are known for love and celebration, but sometimes they also reveal moments of truth, courage, and unexpected strength. One groom, known for his creativity, prepared a heartfelt surprise video …

3 Wedding Moments No One Saw Coming – Stories That Will Stay With You Read More
General

VIDEO: Male & Female Exposed For Having Steamy Affair After Cameras Caught Their Intimate Moment On The Jumbotron At Coldplay Concert

July 17, 2025July 17, 2025 - by Teonce Joseph - Leave a Comment

Coldplay Concert cheaters (Photo via Twitter) Cheating is never a good idea, and it’s even worse to do so while at a Coldplay concert. The most cringeworthy footage of the …

VIDEO: Male & Female Exposed For Having Steamy Affair After Cameras Caught Their Intimate Moment On The Jumbotron At Coldplay Concert Read More

Posts pagination

Previous 1 … 354 355 356 … 568 Next

Recent Posts

  • Denver Broncos Did Josh Allen & Hailee Steinfeld Dirty On The Jumbotron Before Playoff Game vs. Bills
  • Tony Romo Accidentally Called Josh Allen An Embarrassing Name On Live TV [VIDEO]
  • Europe Joins Arctic Cooperation Amid Denmark–U.S. Split Over Greenland Security
  • Donald Trump Signs Bill Making Tips Exempt From Federal Income Tax
  • Keeping Tucker Carlson in Our Thoughts as Family Shares a Heartfelt Tribute

Categories

  • Adult Star
  • America's Got Talent
  • ANIMALS
  • Arizona Cardinals
  • Atlanta Falcons
  • Atlanta Hawks
  • Australia News
  • AWARDS
  • Baltimore Ravens
  • Basketball
  • Boston Celtics
  • Boston Red Sox
  • Boxing
  • BREAKING NEWS
  • Brooklyn Nets
  • Buffalo Bills
  • Carolina Panthers
  • CELEBRITIES
  • CELEBRITY RELATIONSHIPS
  • Celebrity Relationships And Break Ups
  • CELEBRITY WEDDINGS
  • CFL
  • Charlotte Hornets
  • Chicago Bears
  • Chicago Bulls
  • Chicago Cubs
  • Chicago Sky
  • Chicago White Sox
  • Christian University
  • Christmas
  • Cincinnati Bengals
  • Cleveland Browns
  • Colorado Buffaloes Football
  • Colorado State University
  • Columbus Blue Jackets
  • CRIME
  • Dak Prescott
  • Dallas Cowboys
  • Dallas Mavericks
  • Denver Broncos
  • Detroit Lions
  • Detroit Pistons
  • Edmonton Oilers
  • Entertainment
  • ESPN
  • EXCLUSIVE
  • Family
  • Florida State University
  • FOOD & DRINK
  • Football
  • General
  • Golden State Warriors
  • Golf
  • Green Bay Packers
  • Health
  • Hollywood
  • Houston Astros
  • Houston Rockets
  • Houston Texans
  • Indiana Fever
  • Indianapolis Colts
  • INSPIRATIONAL STORIES
  • Instagram
  • Jacksonville Jaguars
  • Kansas City Chiefs
  • Las Vegas Aces
  • Las Vegas Raiders
  • LIFESTYLE STYLE
  • Los Angeles Chargers
  • Los Angeles Chargers
  • Los Angeles Clippers
  • Los Angeles Dodgers
  • Los Angeles Lakers
  • Los Angeles Rams
  • Los Angeles Sparks
  • LOTTERY
  • Louisiana State University
  • Miami Dolphins
  • Miami Heat
  • Minnesota Timberwolves
  • Minnesota Twins
  • Minnesota Vikings
  • MISSING PERSONS
  • MLB
  • MMA
  • Montana State
  • Motor Sports
  • MOVIES
  • MUSIC
  • MUSICIANS
  • NASA
  • Nascar
  • NBA
  • NCAA
  • Netflix
  • New England Patriots
  • New Heights Podcast
  • New Orleans Saints
  • New York Giants
  • New York Jets
  • New York Knicks
  • New York Mets
  • New York Yankees
  • NEWS
  • NFL
  • NFL Los Angeles Chargers
  • NHL
  • Ohio State
  • Ohio State University
  • Olympic Games Paris 2024
  • Olympics
  • OnlyFans
  • PARENTS
  • Philadelphia 76ers
  • Philadelphia Eagles
  • Philadelphia Phillies
  • Phoenix Mercury
  • Phoenix Suns
  • Pittsburgh Pirates
  • Pittsburgh Steelers
  • POLITICS
  • Prince Harry
  • REAL LIFE
  • Religion
  • RIP
  • Royal
  • ROYAL FAMILY
  • Running
  • San Antonio Spurs
  • San Diego Padres
  • San Francisco 49ers
  • San Francisco Giants
  • Science
  • Seattle Mariners Texas
  • Seattle Seahawks
  • Seattle Storm
  • Simon Cowell
  • Soccer
  • Social Media
  • South Carolina University
  • Sport News
  • SPORTS ENTERTAINMENT
  • STORIES
  • Super Bowl
  • Tampa Bay Buccaneers
  • Tennessee Titans
  • Tennis
  • Tesla
  • TikTok
  • Trending
  • TV
  • TV And Film
  • Twitter
  • UFC
  • UFL
  • UK News
  • Uncategorized
  • University of Alabama
  • University of Arkansas
  • University of Colorado
  • University of Florida
  • University of Georgia
  • University of Kansas
  • University of Miami
  • University of Michigan
  • University of Mississippi
  • University of Nebraska
  • University of Oregon
  • University of South Florida
  • University of Southern California
  • University of Tennessee
  • University of Texas
  • University of Wisconsin-Madison
  • UNLV
  • US Game Shows
  • US NEWS
  • US Open Tennis
  • VIRAL
  • VIRAL STORIES
  • Virginia Tech
  • VMAs
  • Washington Commanders
  • Washington Wizards
  • Wheel Of Fortune
  • WNBA
  • WORLD NEWS
  • Wrestling
  • WWE
Copyright © 2026 New Heights.
Powered by WordPress and HitMag.